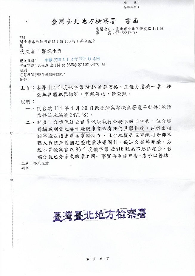
文章回應
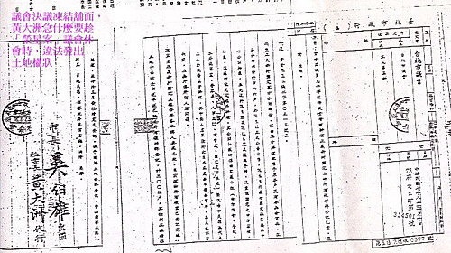
請議會(議員)協助事項: 陳情人鄒筑生於115、01、16日0900時,與政風承辦人蔡小姐通話協調結果如下:(聯絡電話:02-27208889轉7754) 1、軍方原眷戶及市府被盜賣的台北市忠孝東路三段改建後的正義國宅(忠勇新城)96戶精華舖面(市府48戶,市值50億元),市府將不再追討,也不協助我法律輔導訴訟,也不協助我調卷訴訟,幫市府打贏官司: 2、請向市府調卷:(此三卷市府均有) (1)、行政院71、03、11日台(71)內字3786號文 (2)、內政部71、02、16日71台內營字第70233號文 (3)、台北地檢署77年度偵字14417及78年度664號不起訴處份書 (該處份書郭宏佑檢察官並未開庭,告訴人蕭明華也不知情,她為檢、調勾結共用的人頭,卷中蕭員欠缺身份字號,年齡、職業也錯誤,為偽造文書) 3、眷村改建舞弊非正義國宅一處,全省800著眷村改建都有弊端,那麼多高級將領分到店面,及偽造舖面為省府所有,要公開標售錢歸省府...最後卻被「市議員周陳阿春」一通電話後,被市府國宅處及軍方(空總、國防部)人員通通以告「造價」賣出給軍、政要員及含冒充合法原眷戶人員,事
請議會(議員)協助事項: 陳情人鄒筑生於115、01、16日0900時,與政風承辦人蔡小姐通話協調結果如下:(聯絡電話:02-27208889轉7754) 1、軍方原眷戶及市府被盜賣的台北市忠孝東路三段改建後的正義國宅(忠勇新城)96戶精華舖面(市府48戶,市值50億元),市府將不再追討,也不協助我法律輔導訴訟,也不協助我調卷訴訟,幫市府打贏官司: 2、請向市府調卷:(此三卷市府均有) (1)、行政院71、03、11日台(71)內字3786號文 (2)、內政部71、02、16日71台內營字第70233號文 (3)、台北地檢署77年度偵字14417及78年度664號不起訴處份書 (該處份書郭宏佑檢察官並未開庭,告訴人蕭明華也不知情,她為檢、調勾結共用的人頭,卷中蕭員欠缺身份字號,年齡、職業也錯誤,為偽造文書) 3、眷村改建舞弊非正義國宅一處,全省800著眷村改建都有弊端,那麼多高級將領分到店面,及偽造舖面為省府所有,要公開標售錢歸省府...最後卻被「市議員周陳阿春」一通電話後,被市府國宅處及軍方(空總、國防部)人員通通以告「造價」賣出給軍、政要員及含冒充合法原眷戶人員,事
請議會(議員)協助事項: 陳情人鄒筑生於115、01、16日0900時,與政風承辦人蔡小姐通話協調結果如下:(聯絡電話:02-27208889轉7754) 1、軍方原眷戶及市府被盜賣的台北市忠孝東路三段改建後的正義國宅(忠勇新城)96戶精華舖面(市府48戶,市值50億元),市府將不再追討,也不協助我法律輔導訴訟,也不協助我調卷訴訟,幫市府打贏官司: 2、請向市府調卷:(此三卷市府均有) (1)、行政院71、03、11日台(71)內字3786號文 (2)、內政部71、02、16日71台內營字第70233號文 (3)、台北地檢署77年度偵字14417及78年度664號不起訴處份書 (該處份書郭宏佑檢察官並未開庭,告訴人蕭明華也不知情,她為檢、調勾結共用的人頭,卷中蕭員欠缺身份字號,年齡、職業也錯誤,為偽造文書) 3、眷村改建舞弊非正義國宅一處,全省800著眷村改建都有弊端,那麼多高級將領分到店面,及偽造舖面為省府所有,要公開標售錢歸省府...最後卻被「市議員周陳阿春」一通電話後,被市府國宅處及軍方(空總、國防部)人員通通以告「造價」賣出給軍、政要員及含冒充合法原眷戶人員,事
請議會(議員)協助事項: 陳情人鄒筑生於115、01、16日0900時,與政風承辦人蔡小姐通話協調結果如下:(聯絡電話:02-27208889轉7754) 1、軍方原眷戶及市府被盜賣的台北市忠孝東路三段改建後的正義國宅(忠勇新城)96戶精華舖面(市府48戶,市值50億元),市府將不再追討,也不協助我法律輔導訴訟,也不協助我調卷訴訟,幫市府打贏官司: 2、請向市府調卷:(此三卷市府均有) (1)、行政院71、03、11日台(71)內字3786號文 (2)、內政部71、02、16日71台內營字第70233號文 (3)、台北地檢署77年度偵字14417及78年度664號不起訴處份書 (該處份書郭宏佑檢察官並未開庭,告訴人蕭明華也不知情,她為檢、調勾結共用的人頭,卷中蕭員欠缺身份字號,年齡、職業也錯誤,為偽造文書) 3、眷村改建舞弊非正義國宅一處,全省800著眷村改建都有弊端,那麼多高級將領分到店面,及偽造舖面為省府所有,要公開標售錢歸省府...最後卻被「市議員周陳阿春」一通電話後,被市府國宅處及軍方(空總、國防部)人員通通以告「造價」賣出給軍、政要員及含冒充合法原眷戶人員,事
尚未 登入會員 ,無法回應!
















































